R$53.000,00
KM4 em Taquara/RS
Código do imóvel: 1243
10,50
10,50
24,00
22,00
250,10m²
Sobre o imóvel

Ótima oportunidade para investimento ou construção! 🏡✨

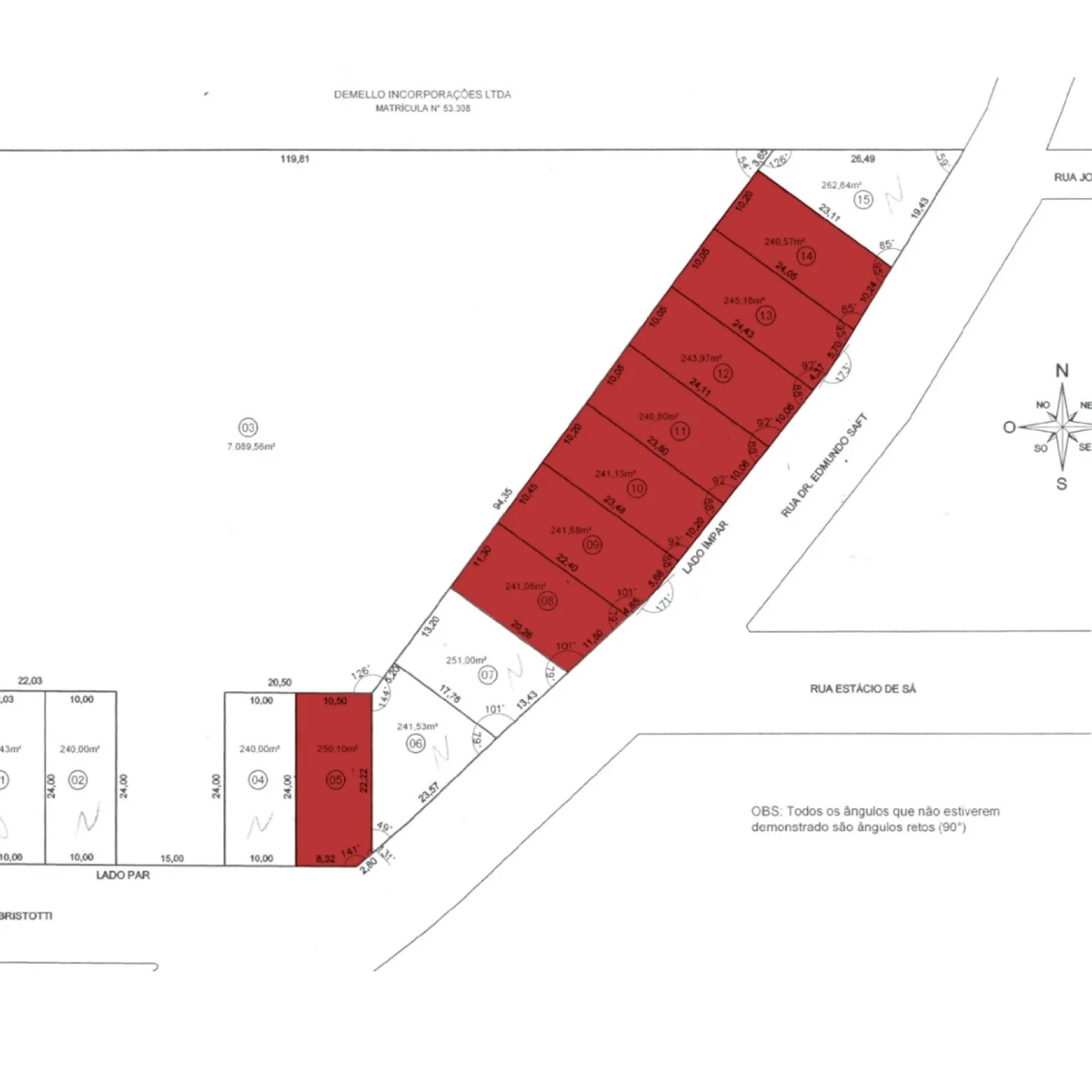
São 8 terrenos disponíveis (destacados em vermelho), com metragens aproximadas entre 240m² e 250m², ideais para quem busca um espaço bem distribuído para construir com conforto.

Os lotes já contam com energia elétrica, trazendo mais praticidade desde o início da obra. Além disso, a região está em desenvolvimento, com previsão de implantação de água e pavimentação, o que tende a valorizar ainda mais os imóveis. 📈

Localizados em uma área tranquila e com fácil acesso, esses terrenos são perfeitos tanto para moradia quanto para investimento futuro.

Garanta já o seu e aproveite essa oportunidade! 💛

  • Lote 01 - VENDIDO
  • Lote 02 - VENDIDO
  • Lote 03 - 7.089,56m2 - PREÇO A DEFINIR
  • Lote 04 - VENDIDO
  • Lote 05 - 250,10m2 - R$53.000,00
  • Lote 06 - VENDIDO
  • Lote 07 - VENDIDO
  • Lote 08 - 241,06m2 - R$53.000,00
  • Lote 09 - 241,88m2 - R$53.000,00
  • Lote 10 - 241,15m2 - R$53.000,00
  • Lote 11 - 240,80m2 - R$53.000,00
  • Lote 12 - 243,97m2 - R$53.000,00
  • Lote 13 - 245,16m2 - R$53.000,00
  • Lote 14 - 240,57m2 - R$53.000,00
  • Lote 15 - VENDIDO

    Agende uma visita hoje mesmo! 
    📞 Entre em contato para mais informações e agendamento:
    Whatsapp 51 99677-8401 
  • Todas as informações, inclusive valores de venda, devem ser confirmadas com a imobiliária, pois estão sujeitas a alterações sem aviso prévio.

Terreno
Venda