R$330.000,00
Morro Alto em Taquara/RS
Código do imóvel: 1192
3,10ha
Sobre o imóvel

🌿 Sítio à Venda em Morro Alto – Taquara/RS

📍 Endereço: Estrada Morro Alto
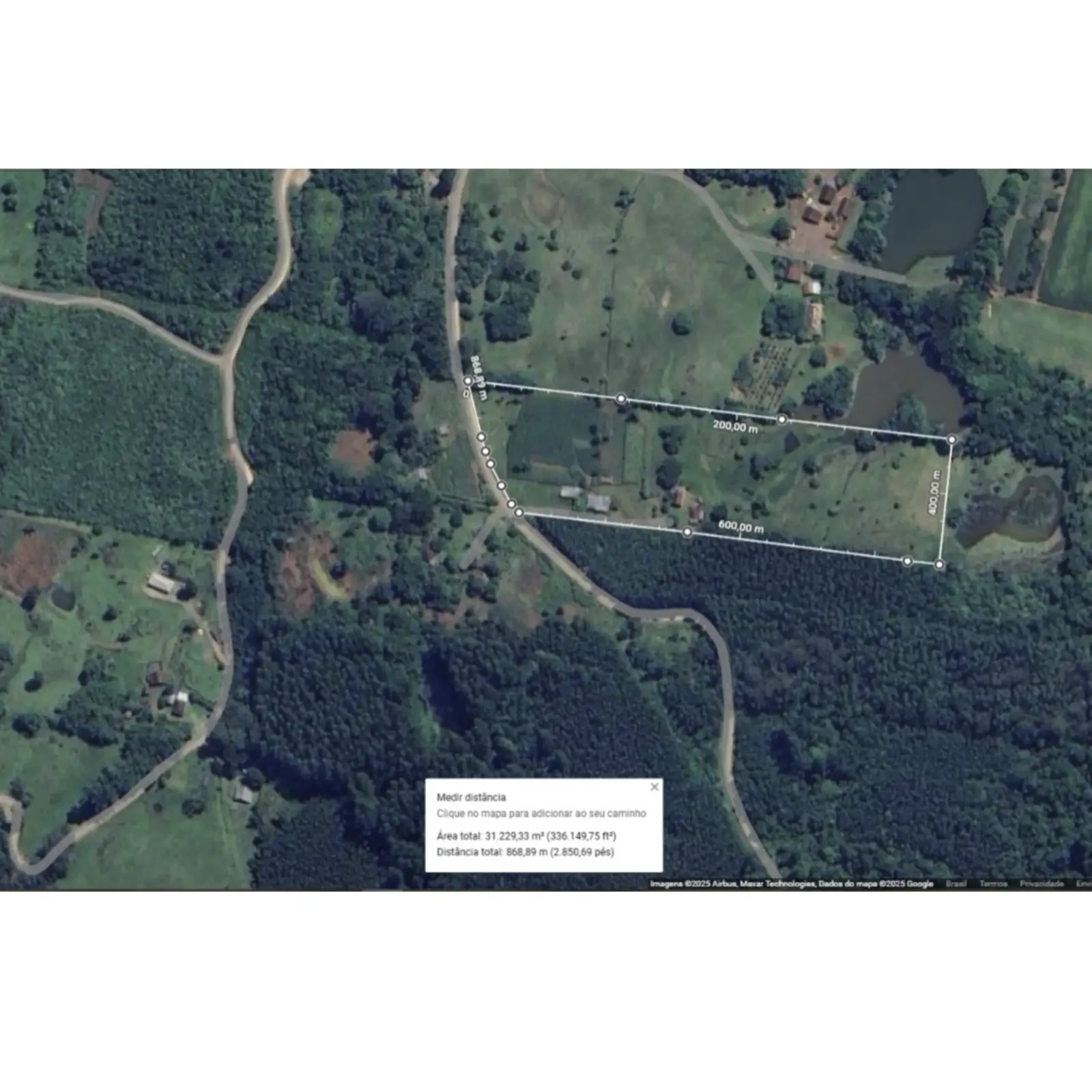
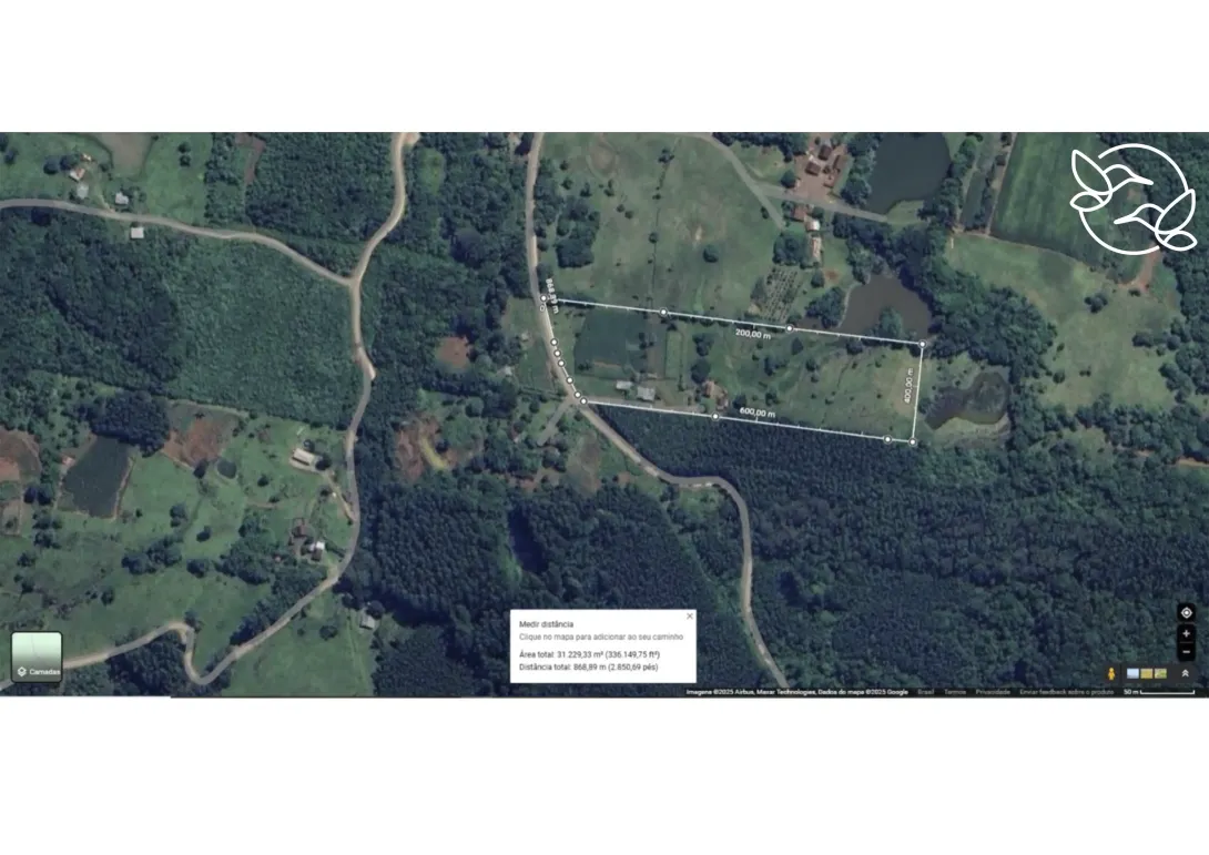
📐 Área total: 31.000,00m² (3,10 hectares)

INFORMAÇÕES GERAIS:

Excelente oportunidade para quem busca tranquilidade, espaço e potencial produtivo!

Sítio relativamente plano, com área totalmente aproveitável, ideal para moradia, lazer ou atividade rural.

✔ Possui açude
Poço artesiano
✔ Energia elétrica instalada
✔ Internet de fibra óptica passando em frente à propriedade
✔ Área de potreiro e lavoura

🏠 Conta com duas casas de madeira, ambas com dois dormitórios.
🚜 Possui um galpão em ótimo estado e outro galpão mais antigo de madeira (estilo estrebaria).

Propriedade com documentação em dia.

💰 Proprietários analisam propostas à vista com valor diferenciado e também oferecem prazo para pagamento.

Uma excelente opção para quem deseja investir em qualidade de vida no interior, com fácil acesso e ótima infraestrutura.

Agende uma visita hoje mesmo! 
📞 Entre em contato para mais informações e agendamento:
Whatsapp 51 99677-8401 

Todas as informações, inclusive valores de venda, devem ser confirmadas com a imobiliária, pois estão sujeitas a alterações sem aviso prévio.

Falar com um corretor

Sítio
Venda